A vakond egész Magyarországon elterjedt faj. Sokszor meggyűlik a bajunk velük, de mégis hasznosnak tekintjük.

A vakond egész Magyarországon elterjedt faj. Sokszor meggyűlik a bajunk velük, de mégis hasznosnak tekintjük.

Az idei év, a kártevők vonatkozásában, abszolút a szívó kártevőké volt, többek között az atkáké.

Javában tart a szamóca szezon, lépten-nyomon találkozni lehet árusokkal, akik a szebbnél-szebb portékájukkal kínálnak bennünket

Berobbant a nyár és a levéltetvek élnek és szaporodnak, elárasztva kertünk szinte minden egyes növényét.

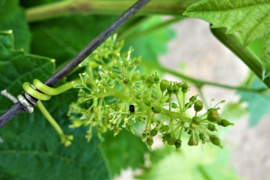
A tartós hűvös, csapadékos időjárás miatt a szőlő fejlődése körülbelül 3 hetes csúszásban van, de elérkeztünk a virágzáshoz.

Adatvédelmi tájékoztató | ÁSZF | Sütikre vonatkozó adatvédelmi tájékoztató
© Copyright 2015 - 2026 KárKép