Oltott dinnye, milyen előnyökkel jár?

 


A cikket félig-meddig bosszúságból írom, ugyanis nagy tiszteletnek örvendenek a madarak a családunkban, viszont a seregély nem tartozik a kedvenceink közé.

 


A hortenzia hatalmas, gyönyörű virágjaival nem hiányozhat a díszkertünkből. De mitől sárgul a levele?

 


Minden évben találkozok a szilvafa levelén a szilvahimlővel, vagy más néven a Sharka vírussal.

 


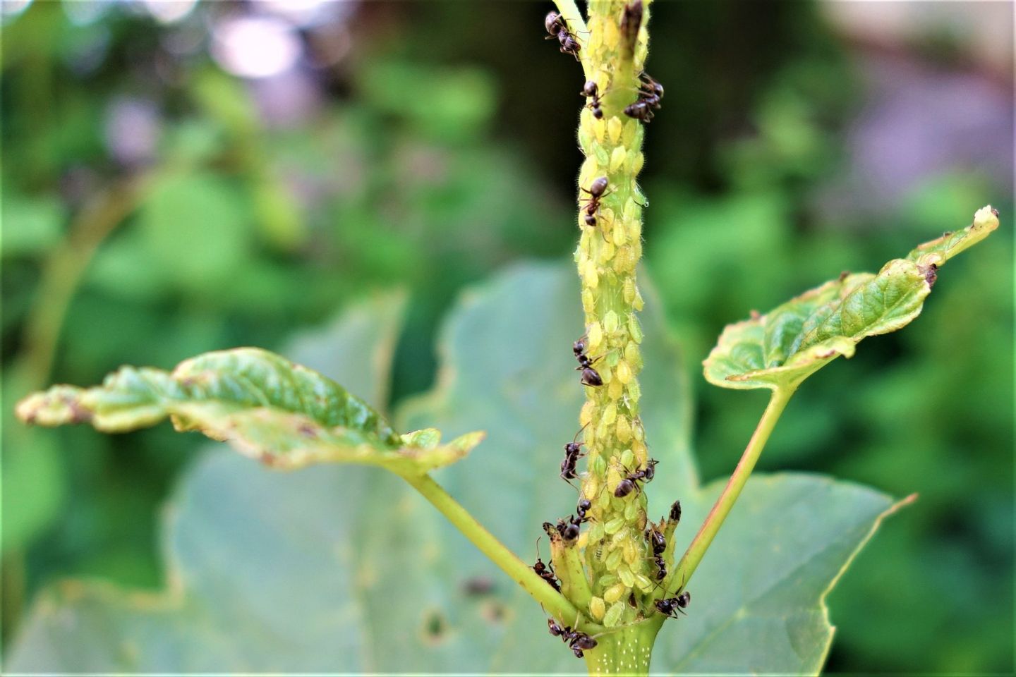
Körbejárva a kertet, biztosan más is tapasztalja, hogy szinte minden növényen megtalálhatóak a levéltetvek. Szívogatásukkal a levelek torzulását, elszíneződését okozzák, amely fotoszintetikus felületvesztéssel jár, így visszafogja a növényt a normális fejlődésben.

 


A szőlőnek két jelentősebb atka károsítója van, a szőlő levélatka és a szőlő gubacsatka. A levélatka jelentősége és kártételének súlyossága megelőzi a szőlő gubacsatkát, viszont az ellenük való növényvédelem megegyezik. Most viszont a képen látható kártétel okozóját szeretném ismertetni.

 


A kertben sétálgatva hatalmas zümmögés fogadott, ugyanis most virágzik a metélőhagyma és ekkor úgy döntöttem, hogy írok pár sort a poszméhek tiszteletére.